REQUEST A TOUR If you would like to see this home without being there in person, select the "Virtual Tour" option and your agent will contact you to discuss available opportunities.
In-PersonVirtual Tour

$ 14,500
Est. payment /mo
New
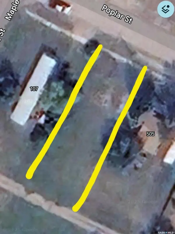
503 Poplar STREET Wolseley, SK S0G 5H0
7,405 Sqft Lot
UPDATED:
Key Details
Property Type Vacant Land
Listing Status Active
Purchase Type For Sale
MLS Listing ID SK026553
Annual Tax Amount $900
Tax Year 2025
Lot Size 7,405 Sqft
Acres 0.17
Source Saskatchewan
Property Description
A Building opportunity awaits at 503 Poplar Street in Wolseley, SK. This lot is 56' wide and 132' deep , a great space to develop to your desire. There was an old home on the lot but has been removed. The Seller is not aware of any services to the property but all town services such as water, natural gas and sewer are all at the main road, Poplar. This street is one of the primary roads on the south side of the town.
"THE town around a lake" is situated just off the Trans Canada Highway , an hour of Regina. Here you will find health care services to include a health center, a beautiful care home, a Home Hardware, a pharmacy, a couple of restaurants , gas station , K-12 schools, daycares, drive in theatre , Credit Union and grocery store and more. Wolseley is full of historical buildings , and the town takes pride in preserving them. Take a second look at this bare lot and make your dreams come true to build. Wolseley awaits YOU!
"THE town around a lake" is situated just off the Trans Canada Highway , an hour of Regina. Here you will find health care services to include a health center, a beautiful care home, a Home Hardware, a pharmacy, a couple of restaurants , gas station , K-12 schools, daycares, drive in theatre , Credit Union and grocery store and more. Wolseley is full of historical buildings , and the town takes pride in preserving them. Take a second look at this bare lot and make your dreams come true to build. Wolseley awaits YOU!
Location
Province SK
Exterior
Fence None
Topography Flat
Building
Lot Description Rectangular
Sewer Other
Others
Ownership Freehold
Listed by RE/MAX Blue Chip Realty







